 
				Continent : Amérique
Pays : Argentine
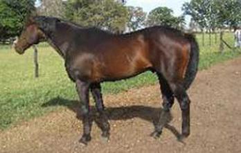
Poids : 400 – 500 kg
Taille : 147 – 156 cm
Le Polo Argentin est originaire des vastes plaines fertiles des Pampas, en Argentine, où se sont développées depuis le XIXᵉ siècle les grandes traditions équestres liées à l’élevage et au travail du bétail. Cette région, caractérisée par son relief plat et son climat tempéré, a favorisé l’émergence d’un cheval à la fois endurant, rapide et agile, parfaitement adapté aux exigences du jeu de polo.
La race est née de la volonté des éleveurs argentins de combiner la vitesse et la finesse du Pur-sang Anglais avec la robustesse et la rusticité du Criollo Argentin. Ce mélange a produit un cheval exceptionnellement équilibré, capable d’allier puissance, maniabilité et résistance. Les premiers croisements organisés remontent à la fin du XIXᵉ siècle, parallèlement à la diffusion du polo en Argentine, importé par les colons britanniques.
Aujourd’hui, le Polo Argentin représente bien plus qu’une race : il incarne l’identité sportive et culturelle de l’Argentine. Élevé avec une rigueur sélective, il est reconnu dans le monde entier comme le meilleur cheval de polo, utilisé par les plus grandes équipes internationales. Son élevage, notamment autour de Buenos Aires, Pilar et la région de La Pampa, demeure un fleuron de la tradition argentine et un modèle de savoir-faire équestre.
Les Pampas argentines constituent la principale zone d’élevage du Polo Argentin. Ces vastes plaines herbeuses, au sol fertile et au climat tempéré, offrent des conditions idéales pour le développement musculaire et l’endurance. C’est dans ces paysages ouverts que les chevaux acquièrent naturellement leur équilibre, leur agilité et leur résistance, éléments essentiels pour le jeu de polo.
La région de Pilar, située dans la province de Buenos Aires, est considérée comme la métropole internationale du polo. On y trouve les haras les plus réputés du pays, tels que Ellerstina, La Dolfina ou Centauros, où se pratiquent à la fois la sélection, l’entraînement et la reproduction des meilleurs sujets. Pilar concentre une densité exceptionnelle d’élevages et de clubs, formant un écosystème unique autour du cheval de polo haut niveau.
Au-delà de Pilar, les zones d’élevage s’étendent dans plusieurs provinces argentines :
Grâce à la renommée internationale du polo argentin, des programmes d’élevage ont vu le jour dans d’autres pays, notamment aux États-Unis, au Royaume-Uni et en Australie, souvent en collaboration avec des haras argentins. Cependant, l’Argentine demeure le centre génétique et culturel incontesté du cheval de polo, où s’élaborent encore aujourd’hui les meilleures lignées de compétition.
 
                 
                 
                 
                 
                 
                 
                 
                 
                 
                 
                 
                 
                 
                 
                 
                Le Polo Argentin se distingue par une combinaison génétique rare, issue du croisement entre le Pur-sang Anglais et le Criollo Argentin. Ce mariage a permis de réunir deux qualités complémentaires : la rapidité, la légèreté et la finesse du Pur-sang, et la résistance, la robustesse et l’endurance du Criollo. Ce patrimoine génétique équilibré a produit une lignée à la fois performante, résistante et d’une grande longévité fonctionnelle, recherchée pour les sports équestres exigeants.
L’importance génétique du Polo Argentin repose également sur une sélection empirique fondée sur la performance réelle. Contrairement aux stud-books traditionnels, la reproduction repose sur les résultats observés sur le terrain : vitesse, maniabilité, réactivité et sang-froid. Cette approche pratique a contribué à forger une lignée fonctionnelle et homogène, où la transmission des qualités sportives est privilégiée à l’esthétique pure.
Au fil des décennies, le Polo Argentin a conquis les haras du monde entier, influençant la sélection d’autres chevaux de sport ou de travail. Son génome performant et adaptable est parfois recherché pour renforcer la réactivité, l’équilibre et la résistance d’autres races de chevaux athlétiques. Cette influence en fait un vecteur génétique d’amélioration, particulièrement prisé dans les programmes d’élevage orientés vers la performance, la sobriété et la maniabilité.
L’histoire du Polo Argentin s’enracine dans celle du cheval en Amérique du Sud, introduit par les colons espagnols au XVIᵉ siècle. Les chevaux andalous et barbes, libérés ou élevés sur les immenses plaines des Pampas, ont donné naissance au Criollo Argentin, un cheval rustique, endurant et intelligent. Au XIXᵉ siècle, le polo, sport d’origine persane popularisé par les Britanniques, arrive en Argentine avec les colons anglais installés dans la région de Buenos Aires. Le climat, la topographie et la passion des Argentins pour l’équitation créent un terrain idéal pour le développement de ce sport, qui va profondément marquer la culture équestre nationale.
Face aux exigences du polo moderne (vitesse, réactivité, précision et endurance), les éleveurs argentins décident de croiser le Pur-sang Anglais, reconnu pour sa vitesse, avec le Criollo Argentin, symbole de rusticité et d’adaptabilité. Ce croisement, amorcé à la fin du XIXᵉ siècle, donne naissance au Polo Argentin, une race spécifiquement sélectionnée pour le sport. Les chevaux les plus performants sont ensuite reproduits selon une méthode empirique : la sélection par le jeu. Seuls les sujets excellant sur le terrain sont conservés comme reproducteurs, assurant une transmission directe des qualités sportives.
Dès le milieu du XXᵉ siècle, les chevaux argentins s’imposent dans les grands tournois mondiaux. L’Argentine devient la première puissance du polo international, notamment grâce à des joueurs légendaires comme Adolfo Cambiaso, symbole de l’excellence argentine.
Le succès de la race repose sur une organisation structurée autour de haras prestigieux, La Dolfina, Ellerstina, La Aguada, qui affinent sans cesse la sélection. Des techniques de transfert d’embryons et de clonage reproductif ont ensuite permis de préserver les meilleures lignées, assurant la continuité génétique de chevaux d’élite.
Aujourd’hui, le Polo Argentin est plus qu’un cheval de sport : c’est un symbole du savoir-faire équestre argentin. Il incarne une culture où la maîtrise du cheval, la passion du jeu et la tradition d’élevage se conjuguent. Présent dans plus de 50 pays, il reste un ambassadeur du prestige argentin, alliant héritage colonial, sélection moderne et excellence sportive.
Le Polo Argentin est reconnu pour son équilibre mental exemplaire. Il combine la vivacité du Pur-sang Anglais avec la stabilité émotionnelle du Criollo Argentin, offrant un tempérament idéal pour la compétition. Sa réactivité rapide, sans nervosité excessive, lui permet de s’adapter aux changements brusques de rythme et de direction caractéristiques du jeu de polo. C’est un cheval nerveux dans l’action, mais calme dans la préparation, capable d’une concentration totale sur le cavalier et la balle.
Sélectionné avant tout sur le terrain, le Polo Argentin a développé une intelligence pratique exceptionnelle. Il anticipe les mouvements, lit le jeu et coopère instinctivement avec son cavalier. Cette faculté d’adaptation fait de lui un partenaire d’équipe plus qu’un simple animal de sport. Très sensible aux aides et doté d’une connexion fine avec le cavalier, il répond immédiatement aux sollicitations, même dans les situations les plus intenses.
Élevé dans un environnement naturel et sportif exigeant, le Polo Argentin possède une grande résistance physique et mentale. Il supporte les efforts prolongés, la chaleur et la répétition des matchs sans perte d’efficacité. Courageux, il ne recule pas devant le contact ou les duels de jeu, tout en conservant une discipline et une précision exemplaires. Son sang-froid, hérité du Criollo, en fait un cheval fiable et constant, même dans les contextes de haute compétition.
En dehors du jeu, le Polo Argentin se montre affectueux, calme et proche de l’homme. Sa docilité en fait un cheval facile à manipuler, que ce soit pour le pansage, le transport ou la monte quotidienne. Cette dualité entre intensité sportive et douceur relationnelle contribue à son succès durable auprès des cavaliers professionnels comme amateurs.
« Calme dans l’âme, rapide dans l’action : le Polo Argentin ne joue pas seulement le match, il le comprend. »
Le Polo Argentin s’affirme comme une référence mondiale incontestée dans sa discipline. Grâce à la qualité de sa sélection et à la réputation des éleveurs argentins, il reste le cheval de polo le plus recherché au monde. Les grandes lignées issues de haras tels que La Dolfina, Ellerstina ou Los Machitos dominent les tournois internationaux, garantissant une pérennité génétique et sportive de très haut niveau. Cette suprématie devrait se maintenir à long terme, portée par une demande stable dans les milieux professionnels du polo.
Si la sélection a longtemps reposé sur l’observation empirique des performances, les éleveurs argentins adoptent désormais des outils génétiques et biométriques modernes pour affiner la reproduction. Des analyses ADN et des suivis de performance assistés par données permettent de repérer les meilleures combinaisons héréditaires. Cette évolution vers une sélection génomique raisonnée vise à préserver la rusticité du cheval tout en renforçant la réactivité, la vitesse et la longévité sportive.
L’exportation de reproducteurs et d’embryons vers l’Europe, l’Amérique du Nord et le Moyen-Orient s’intensifie. Cette internationalisation du patrimoine génétique argentin favorise la création de lignées locales tout en consolidant la notoriété du cheval de polo. Parallèlement, certaines lignées commencent à être utilisées pour des disciplines voisines; comme le horseball ou la monta de travail.
Face aux enjeux environnementaux et économiques, plusieurs programmes visent à préserver la diversité génétique et à promouvoir des méthodes d’élevage durables (pâturage extensif, alimentation naturelle, respect du bien-être animal). Le Polo Argentin de demain se dirige donc vers un modèle conciliant tradition, innovation et éthique, garantissant la survie d’une race emblématique tout en répondant aux attentes des nouvelles générations d’éleveurs et de cavaliers.
Le Polo Argentin hérite d’une santé remarquable grâce à la rusticité du Criollo et à la vigueur athlétique du Pur-sang. Sélectionné dans des conditions exigeantes, il présente une excellente endurance cardiovasculaire et une résistance naturelle aux variations climatiques. Sa constitution compacte et musclée lui permet de supporter des efforts intenses et répétés sans perte de performance.
Comme tout cheval de haut niveau, le Polo Argentin peut être sujet à des pathologies d’usure dues à la pratique intensive du sport :
Une bonne préparation physique, une alimentation équilibrée riche en électrolytes et une récupération adaptée permettent de limiter largement ces risques. Les chevaux de polo bénéficient souvent d’un suivi vétérinaire de haut niveau et de protocoles de soins préventifs, notamment pour la santé des tendons et des membres.
Contrairement à certaines races issues de croisements intensifs, le Polo Argentin ne présente aucune maladie héréditaire majeure identifiée. Sa sélection axée sur la fonctionnalité et la performance a permis de maintenir une diversité génétique équilibrée, garantissant la longévité et la fiabilité de la race.